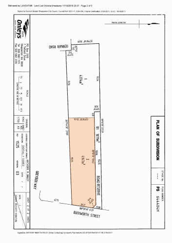
11 Buckworth Street, Kialla VIC 3631 IN PLANNING
This information is estimated by the OpenLot research team. Let us know here to provide up-to-date information about this development.
| Total new homes | 18 |
| Area size | 0.42 hectares |
| City council | Greater Shepparton City Council |
| Developer | N/A |
Land for Sale, House and Land Packages:
Popular Estates near 11 Buckworth Street, Kialla
Updates for 11 Buckworth Street, Kialla
Location & Map for 11 Buckworth Street, Kialla
Land Price Trend in Kialla VIC 3631
- In Oct - Dec 24, the median price for vacant land in Kialla VIC 3631 was $258,000. *
- From Oct - Dec 17 to Oct - Dec 24, the median price for vacant land in Kialla VIC 3631 has increased 104.92%. *
- From 2008 to 2024, the median price for vacant land in Kialla VIC 3631 has increased 160%. *
Schools near 11 Buckworth Street, Kialla
Here are 6 schools near 11 Buckworth Street, Kialla:
Prep-6 Government Primary School - School Head Campus
Prep-6 Government Primary School
Prep-6 Catholic Primary School
Prep-11 Government Primary School - School Head Campus
Prep-12 Catholic Combined School
Reviews & Comments on 11 Buckworth Street, Kialla
Estate Brochure, Masterplan, Engineering Plan, Plan of Subdivision (POS), Design Guidelines
FAQs about 11 Buckworth Street, Kialla
- Guthrie Street Primary School Shepparton - 1.4km north
- Wilmot Road Primary School Shepparton - 1.9km north-east
- St Mel's School - 2.7km north-east
- St Georges Road Primary School Shepparton - 2.7km north-east
- St Anne's College - 3.2km south
Popular Estates near 11 Buckworth Street, Kialla
Latest New Home Articles for You
19/Aug/2025 | OpenLot.com.au
🏡 Suburb Profile: Beveridge
19/Aug/2025 | OpenLot.com.au
test
19/Aug/2025 | OpenLot.com.au
tests
13/Jun/2025 | OpenLot.com.au
Display Homes at Playford Alive Estate: A Thriving Community at the Heart of Munno Para
Welcome to Playford Alive, a vibrant and dynamic masterplanned community ...
11/Jun/2025 | OpenLot.com.au
Display Homes at Ocean Hill Estate: A Thriving Community by the Coast
A short stroll from the white sands of Madora Beach and fringed by the co...
10/Jun/2025 | OpenLot.com.au
Display Homes at Bluestone Estate: An Established Community in the Mount Barker
Whether you’re a first home buyer, a growing family, or looking to downsi...
09/Jun/2025 | OpenLot.com.au
Queensland Leads, But NSW and VIC Fall Behind, in New Housing Buyer Demand Index
New data reveals that Australia’s new housing market remains resilient de...
06/Jun/2025 | OpenLot.com.au
Display Homes at Minters Fields Estate: A Scenic Hillside Community in Mount Barker
Nestled in the heart of Mount Barker, Minters Fields offers a truly remar...
03/Jun/2025 | OpenLot.com.au
🏡 Step Inside a Frenken Home at Smiths Lane
During a recent visit to the Smiths Lane display village, OpenLot.com.au ...









