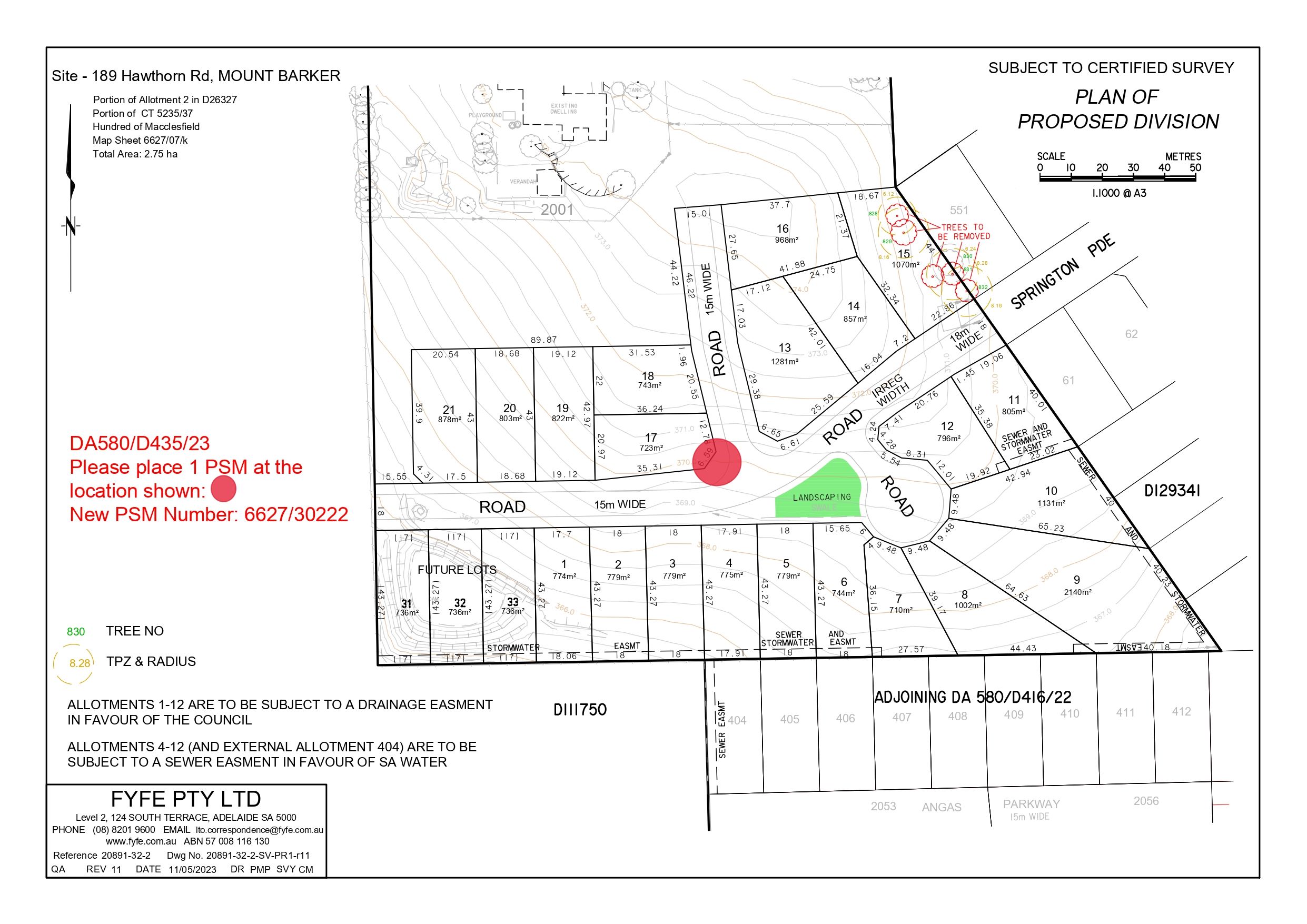
189 Hawthorn Road, Mount Barker SA 5251 IN PLANNING
This information is estimated by the OpenLot research team. Let us know here to provide up-to-date information about this development.
| Total new homes | 21 |
| Area size | 2.83 hectares |
| Growth Region | Adelaide Hills Growth Areas |
| City council | Mount Barker District Council |
| Developer | N/A |
| Distance to | Adelaide CBD - 28 km south-east Adelaide Airport - 32 km south-east |
Land for Sale, House and Land Packages:
Popular Estates near 189 Hawthorn Road, Mount Barker
Updates for 189 Hawthorn Road, Mount Barker
Location & Map for 189 Hawthorn Road, Mount Barker
Visit Display Homes near 189 Hawthorn Road, Mount Barker
Vacancy Rate in Mount Barker SA 5251
View full vacancy rate history in Mount Barker SA 5251 via SQM Research.
Schools near 189 Hawthorn Road, Mount Barker
Here are 6 schools near 189 Hawthorn Road, Mount Barker:
U, 7-12 Government Secondary School
U, R-6 Government Primary School
U, R-6 Government Primary School
R-6 Independent Primary School
7-12 Independent Secondary School
R-12 Catholic Combined School
Suburb Planning Review in Mount Barker SA 5251
Mount Barker is a local town approximately 37.9 square kilometres in area, forming part of the Mount Lofty Ranges in the Greater Adelaide region of South Australia. Located 33 kilometres south east of Adelaide CBD, the semi-rural township contains a northern urbanised area, large local centre (commercial and retail), large industrial area, residential areas, wetlands, parks and schools. The urbanised area is surrounded by rural land holdings and the agriculture industry.

The suburb boundary is located along the Native Avenue, Pinchbeck Firetrack, Fidler Lane, Potts Road, Yunkunga Road and Merritt Road to the south. The South Eastern Freeway is the entire northern boundary, Springs Road, Harper Road and property boundaries to the to the east. Flaxley Road, Haines Firtrack, Liebelt Summer Track and properties boundaries provide the suburb boundary to the west.
A local road network is found throughout Mount Barker, providing access to the surrounding suburbs and the local network of roads. Springs Road and Old Mount Barkers Road provides west and east connections through the centre of the suburb, whilst Wellington Road, Flaxley Road and Bald Hills Road provides north and south connections linking to the major arterial road in proximity.

The northern urban area contains a mix of zoning that facilitates the community needs and services. The neighbourhood zone exists to the south of the business, retail and commercial zoning and provides exiting residential areas of the suburb.
The Master Planned Neighbourhood zoning was rezone under the Mount Barker Urban Growth Areas Development Plan (amendment) declared by the Minister for Planning in December 2010. The growth areas were reflected in the Development Plan prepared by Mount Barker District Council and the 30-Year Plan for Greater Adelaide prepared by the Department of Planning, Transport and Infrastructure for the South Australian State Government.

The rezone of Rural land to Residential under the Master Planned Neighbourhood zone affects approximately 1,200 hectares to accommodate a range of housing forms as well as a range of complementary services and activities to meet the needs of future residents. The rezone also included 42 hectares of land within the existing Light Industry Zone.
Mount Barker Submission for Managed Urban Growth
The plan for the next 30 years is the revitalisation of existing neighbourhoods, concentrated new development around transit corridors, and proposed new mixed-use precincts to bring jobs, services and public transport closer to where people live. The Mount Barker Council considered the growth area and provided the following position:
“Over the last ten years the District Council of Mount Barker has been the fastest growing non- coastal Council within Australia, averaging 3 per cent growth per annum. Through this experience Council has learnt invaluable lessons regarding managing and staging rapid growth and wishes to utilise this knowledge in the negotiation and provision of further growth. In the absence of strategies for community building, nor detail or commitment on how the infrastructure, health, education or social needs will be delivered or resourced; the rapid growth proposed in the draft 30 Year Plan threatens each pillar of sustainability and the values shared by the community. Council does not oppose population growth but will only support managed growth which is financially, socially and ecologically sustainable, and clearly resolves the critical issues outlined in Chapter 5 of this Submission”.

Mount Barker Strategic Vision
“The Mount Barker district will be recognised as being highly liveable, prosperous and safe, built from a foundation of community spirit and energy, quality of lifestyle and unique heritage, environment and landscape.” – Mount Barker 2035 District Strategic Plan.
Greater Adelaide Region Growth Area
The population growth in the Greater Adelaide Region area will be 1.97 million people by 2045, which is expected to require a housing growth of 248,000 dwellings. The planning priorities and actions for improving the liveability of residents, a competitive and sustainable region are set down in the 30-Year Plan for Greater Adelaide, 2017 update.
The growth areas will create the opportunity to reduce urban sprawl to the north and south of the elongated metropolitan footprint and the use of urban renewal projects is encouraged to find new spaces and places to live. The City Shape 2043 provides a basis for ongoing discussion with the community about the changing shape of Mount Barker as it grows.

Mount Barker Suburb Summary
Reviews & Comments on 189 Hawthorn Road, Mount Barker
Estate Brochure, Masterplan, Engineering Plan, Plan of Subdivision (POS), Design Guidelines
FAQs about 189 Hawthorn Road, Mount Barker
- Mount Barker High School - 1.4km east
- Mount Barker Primary School - 1.4km north-east
- Mount Barker South Primary School - 1.7km east
- St Mark's Lutheran School - 1.8km east
- Cornerstone College - 2.1km north-east
- St Francis de Sales College - 2.6km north-east
Popular Estates near 189 Hawthorn Road, Mount Barker
Latest New Home Articles for You
19/Aug/2025 | OpenLot.com.au
🏡 Suburb Profile: Beveridge
19/Aug/2025 | OpenLot.com.au
test
19/Aug/2025 | OpenLot.com.au
tests
13/Jun/2025 | OpenLot.com.au
Display Homes at Playford Alive Estate: A Thriving Community at the Heart of Munno Para
Welcome to Playford Alive, a vibrant and dynamic masterplanned community ...
11/Jun/2025 | OpenLot.com.au
Display Homes at Ocean Hill Estate: A Thriving Community by the Coast
A short stroll from the white sands of Madora Beach and fringed by the co...
10/Jun/2025 | OpenLot.com.au
Display Homes at Bluestone Estate: An Established Community in the Mount Barker
Whether you’re a first home buyer, a growing family, or looking to downsi...
09/Jun/2025 | OpenLot.com.au
Queensland Leads, But NSW and VIC Fall Behind, in New Housing Buyer Demand Index
New data reveals that Australia’s new housing market remains resilient de...
06/Jun/2025 | OpenLot.com.au
Display Homes at Minters Fields Estate: A Scenic Hillside Community in Mount Barker
Nestled in the heart of Mount Barker, Minters Fields offers a truly remar...
03/Jun/2025 | OpenLot.com.au
🏡 Step Inside a Frenken Home at Smiths Lane
During a recent visit to the Smiths Lane display village, OpenLot.com.au ...











