70 Pine Road & 140 Orchard Road, Richlands QLD 4077 IN PLANNING
This information is estimated by the OpenLot research team. Let us know here to provide up-to-date information about this development.
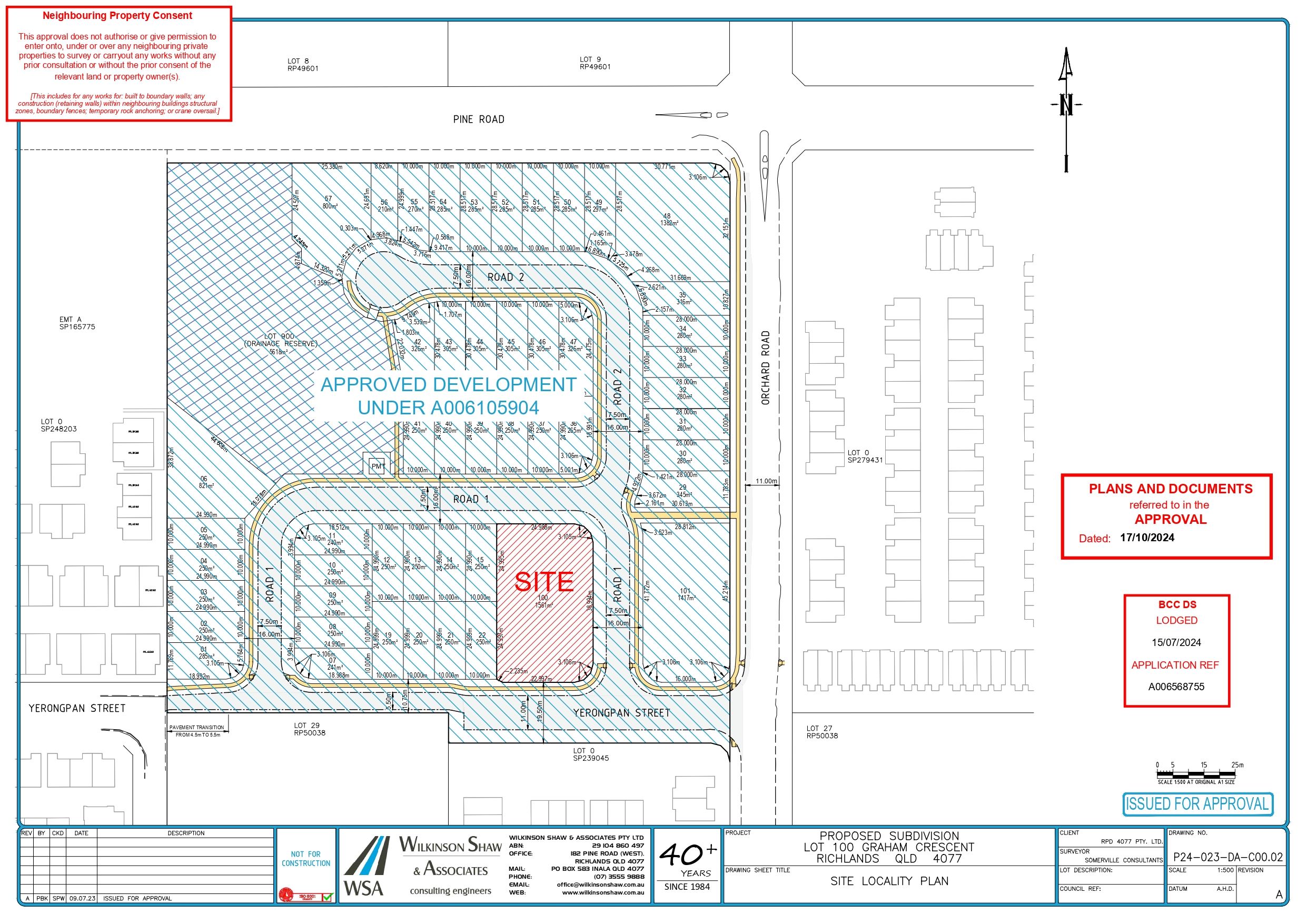
| Total new homes | 57 |
| Area size | 3.28 hectares |
| Growth Region | Greater Brisbane Growth Areas |
| City council | Brisbane City Council |
| Developer | N/A |
| Distance to | Brisbane CBD - 15 km south-west Brisbane Airport - 28 km south-west Gold Coast CBD - 64 km north-west |
Land for Sale, House and Land Packages:
Popular Estates near 70 Pine Road & 140 Orchard Road, Richlands
Updates for 70 Pine Road & 140 Orchard Road, Richlands
Location & Map for 70 Pine Road & 140 Orchard Road, Richlands
Visit Display Homes near 70 Pine Road & 140 Orchard Road, Richlands
Vacancy Rate in Richlands QLD 4077
View full vacancy rate history in Richlands QLD 4077 via SQM Research.
Schools near 70 Pine Road & 140 Orchard Road, Richlands
Here are 6 schools near 70 Pine Road & 140 Orchard Road, Richlands:
7-12 Catholic Special School
Prep-6 Government Primary School
Prep-6 Catholic Primary School
Prep-6 Government Primary School
Prep-6 Government Primary School
Prep-12 Government Special School
Reviews & Comments on 70 Pine Road & 140 Orchard Road, Richlands
Estate Brochure, Masterplan, Engineering Plan, Plan of Subdivision (POS), Design Guidelines
FAQs about 70 Pine Road & 140 Orchard Road, Richlands
- Inala Flexible School - 1.2km south-east
- Richlands East State School - 1.3km east
- St Mark's School - 1.5km east
- Forest Lake State School - 2.2km south
- Inala State School - 2.4km east
- Western Suburbs State Special School - 2.5km east
Popular Estates near 70 Pine Road & 140 Orchard Road, Richlands
Latest New Home Articles for You
19/Aug/2025 | OpenLot.com.au
🏡 Suburb Profile: Beveridge
19/Aug/2025 | OpenLot.com.au
test
19/Aug/2025 | OpenLot.com.au
tests
13/Jun/2025 | OpenLot.com.au
Display Homes at Playford Alive Estate: A Thriving Community at the Heart of Munno Para
Welcome to Playford Alive, a vibrant and dynamic masterplanned community ...
11/Jun/2025 | OpenLot.com.au
Display Homes at Ocean Hill Estate: A Thriving Community by the Coast
A short stroll from the white sands of Madora Beach and fringed by the co...
10/Jun/2025 | OpenLot.com.au
Display Homes at Bluestone Estate: An Established Community in the Mount Barker
Whether you’re a first home buyer, a growing family, or looking to downsi...
09/Jun/2025 | OpenLot.com.au
Queensland Leads, But NSW and VIC Fall Behind, in New Housing Buyer Demand Index
New data reveals that Australia’s new housing market remains resilient de...
06/Jun/2025 | OpenLot.com.au
Display Homes at Minters Fields Estate: A Scenic Hillside Community in Mount Barker
Nestled in the heart of Mount Barker, Minters Fields offers a truly remar...
03/Jun/2025 | OpenLot.com.au
🏡 Step Inside a Frenken Home at Smiths Lane
During a recent visit to the Smiths Lane display village, OpenLot.com.au ...











