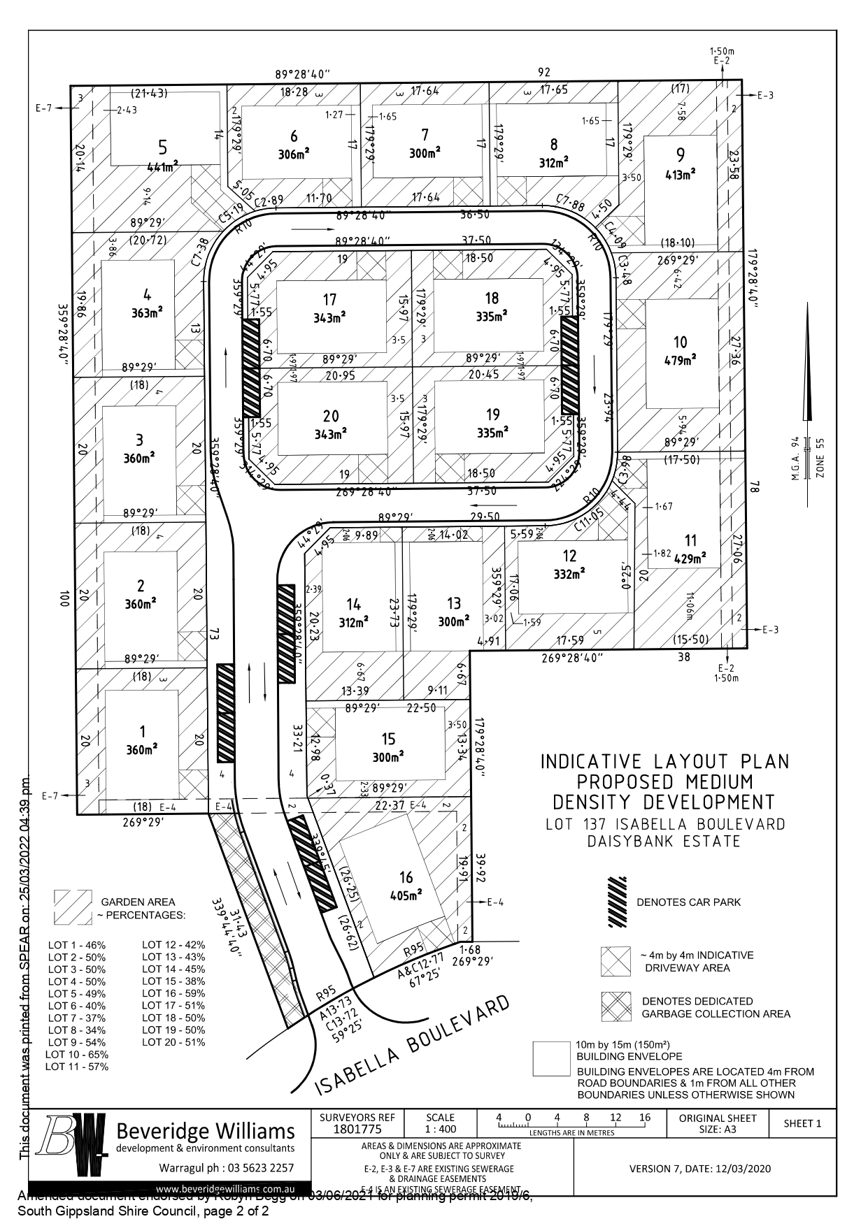
73 Isabella Boulevard, Korumburra VIC 3950
[NEW RELEASE] Suit Developers and Multi Lot Builders ; please consider this 20 Homeunit & Retirement Village Development Site Close to Ocean and City.
- This affordable Investment Acreage site will suit a 20 property Retirement & Homeunit project. Vendor is Calling for expressions of Interest and will be above $100,000 per site Please Call to discuss the project.
- Please note we are also selling Stage 2 ,of this Estate "on top of the hill ", above this project . With prices staring from $289,950. Call to discuss these lots from 720m² to 1100m².
This information is estimated by the OpenLot research team. Let us know here to provide up-to-date information about this development.
| Total new homes | 20 |
| Area size | 0.91 hectares |
| Growth Region | Gippsland Regional Growth Areas |
| City council | South Gippsland Shire Council |
| Developer | N/A |
| Project marketer | Vic Properties |
Land for Sale:
Popular Estates near 73 Isabella Boulevard, Korumburra
Updates for 73 Isabella Boulevard, Korumburra
Location & Map for 73 Isabella Boulevard, Korumburra
Land Price Trend in Korumburra VIC 3950
- In Oct - Dec 24, the median price for vacant land in Korumburra VIC 3950 was $200,000. *
- From Oct - Dec 17 to Oct - Dec 24, the median price for vacant land in Korumburra VIC 3950 has increased 30.72%. *
- From 2008 to 2024, the median price for vacant land in Korumburra VIC 3950 has increased 231.25%. *
Vacancy Rate in Korumburra VIC 3950
View full vacancy rate history in Korumburra VIC 3950 via SQM Research.
Schools near 73 Isabella Boulevard, Korumburra
Here are 6 schools near 73 Isabella Boulevard, Korumburra:
Prep-6 Catholic Primary School
Prep-6 Government Primary School
7-12 Government Secondary School
Prep-6 Government Primary School
Prep-6 Catholic Primary School
1-6 Government Primary School
Reviews & Comments on 73 Isabella Boulevard, Korumburra
Estate Brochure, Masterplan, Engineering Plan, Plan of Subdivision (POS), Design Guidelines
FAQs about 73 Isabella Boulevard, Korumburra
View all estates marketed by Vic Properties
- St Joseph's School - 530m north
- Korumburra Primary School - 736m north-east
- Korumburra Secondary College - 1.5km west
- Poowong Consolidated School - 11.8km north
- St Laurence O'Toole School - 12.4km east
- Kongwak Primary School - 12.5km south-west
Popular Estates near 73 Isabella Boulevard, Korumburra
Latest New Home Articles for You
19/Aug/2025 | OpenLot.com.au
🏡 Suburb Profile: Beveridge
19/Aug/2025 | OpenLot.com.au
test
19/Aug/2025 | OpenLot.com.au
tests
13/Jun/2025 | OpenLot.com.au
Display Homes at Playford Alive Estate: A Thriving Community at the Heart of Munno Para
Welcome to Playford Alive, a vibrant and dynamic masterplanned community ...
11/Jun/2025 | OpenLot.com.au
Display Homes at Ocean Hill Estate: A Thriving Community by the Coast
A short stroll from the white sands of Madora Beach and fringed by the co...
10/Jun/2025 | OpenLot.com.au
Display Homes at Bluestone Estate: An Established Community in the Mount Barker
Whether you’re a first home buyer, a growing family, or looking to downsi...
09/Jun/2025 | OpenLot.com.au
Queensland Leads, But NSW and VIC Fall Behind, in New Housing Buyer Demand Index
New data reveals that Australia’s new housing market remains resilient de...
06/Jun/2025 | OpenLot.com.au
Display Homes at Minters Fields Estate: A Scenic Hillside Community in Mount Barker
Nestled in the heart of Mount Barker, Minters Fields offers a truly remar...
03/Jun/2025 | OpenLot.com.au
🏡 Step Inside a Frenken Home at Smiths Lane
During a recent visit to the Smiths Lane display village, OpenLot.com.au ...








