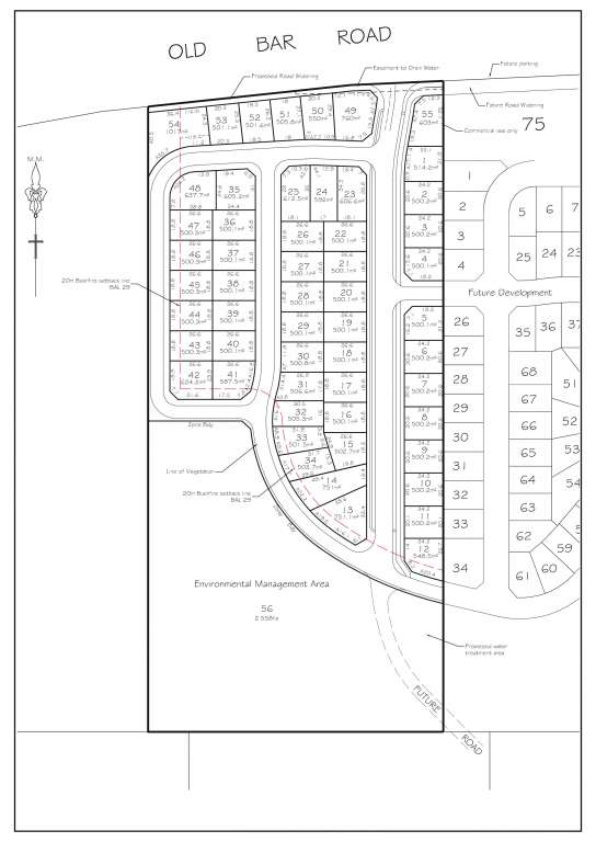
988 Old Bar Road, Old Bar NSW 2430
This information is estimated by the OpenLot research team. Let us know here to provide up-to-date information about this development.
| Total new homes | 71 |
| Area size | 7.84 hectares |
| City council | MidCoast Council |
| Developer | N/A |
| Project marketer | Letswork |
Land for Sale, House and Land Packages:
Popular Estates near 988 Old Bar Road, Old Bar
Updates for 988 Old Bar Road, Old Bar
Location & Map for 988 Old Bar Road, Old Bar
Vacancy Rate in Old Bar NSW 2430
View full vacancy rate history in Old Bar NSW 2430 via SQM Research.
Schools near 988 Old Bar Road, Old Bar
Here are 6 schools near 988 Old Bar Road, Old Bar:
K-6 Government Primary School
K-12 Independent Combined School
K-6 Government Primary School
K-6 Government Primary School
K-6 Government Primary School
K-6 Government Primary School
Reviews & Comments on 988 Old Bar Road, Old Bar
Estate Brochure, Masterplan, Engineering Plan, Plan of Subdivision (POS), Design Guidelines
FAQs about 988 Old Bar Road, Old Bar
View all estates marketed by Letswork
- Old Bar Public School - 1.6km east
- Manning Valley Anglican College - 8.5km north-west
- Mitchells Island Public School - 8.8km north-east
- Hallidays Point Public School - 8.8km south
- Cundletown Public School - 8.9km north-west
- Chatham Public School - 11.4km north-west
Popular Estates near 988 Old Bar Road, Old Bar
Latest New Home Articles for You
19/Aug/2025 | OpenLot.com.au
🏡 Suburb Profile: Beveridge
19/Aug/2025 | OpenLot.com.au
test
19/Aug/2025 | OpenLot.com.au
tests
13/Jun/2025 | OpenLot.com.au
Display Homes at Playford Alive Estate: A Thriving Community at the Heart of Munno Para
Welcome to Playford Alive, a vibrant and dynamic masterplanned community ...
11/Jun/2025 | OpenLot.com.au
Display Homes at Ocean Hill Estate: A Thriving Community by the Coast
A short stroll from the white sands of Madora Beach and fringed by the co...
10/Jun/2025 | OpenLot.com.au
Display Homes at Bluestone Estate: An Established Community in the Mount Barker
Whether you’re a first home buyer, a growing family, or looking to downsi...
09/Jun/2025 | OpenLot.com.au
Queensland Leads, But NSW and VIC Fall Behind, in New Housing Buyer Demand Index
New data reveals that Australia’s new housing market remains resilient de...
06/Jun/2025 | OpenLot.com.au
Display Homes at Minters Fields Estate: A Scenic Hillside Community in Mount Barker
Nestled in the heart of Mount Barker, Minters Fields offers a truly remar...
03/Jun/2025 | OpenLot.com.au
🏡 Step Inside a Frenken Home at Smiths Lane
During a recent visit to the Smiths Lane display village, OpenLot.com.au ...









